<script async src="https://pagead2.googlesyndication.com/pagead/js/adsbygoogle.js?client=ca-pub-3258437734545211"
crossorigin="anonymous"></script>
<ins class="adsbygoogle"
style="display:block"
data-ad-format="fluid"
data-ad-layout-key="-gw-3+1f-3d+2z"
data-ad-client="ca-pub-3258437734545211"
data-ad-slot="4492468993"></ins>
<script>
(adsbygoogle = window.adsbygoogle || []).push({});
</script>

Now Playing

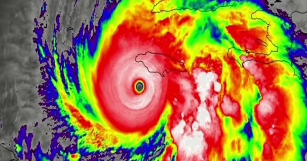
‘Little that can stop a Category 5:’ Jamaican officials warn to seek shelter
01:06
UP NEXT

American stranded in Jamaica describes ‘nerve-wracking’ situation awaiting Hurricane Melissa
02:46

Trump could send ‘more than the National Guard’ to U.S. cities
02:40

Trump promises pay raise to U.S. service members
01:05

Trump ally Milei wins big in Argentina’s midterm election
02:27

Park rangers cracking down on illegal BASE jumping at Yosemite amid government shutdown
02:39

Teen handcuffed after AI system mistakes bag of chips for gun
02:48

‘We couldn’t get a flight out’: American stuck in Jamaica ahead of Hurricane Melissa
02:35

Amazon reportedly set to announce massive layoffs
02:09

Family faces potential deportation and separation after over a decade in the U.S.
04:39

Former deputy says lethal force was necessary to stop threat he perceived from Sonya Massey
03:39

Lawmakers need ‘genuine’ conversations to end government shutdown, says House Democrat
07:11

Ontario Premier Doug Ford: Reagan is ‘spinning around in his grave’ over Trump’s tariff policy
08:01

Trump says he had an MRI during October Walter Reed visit
00:47

Former Illinois deputy on trial for Sonya Massey’s death takes the stand
02:26

The pros and cons of paying with cash for medical care
03:00

Minnesota man arrested for alleged murder-for-hire threat against AG Pam Bondi
02:14

Study investigates the mysteries of lights in the sky by looking to the past
07:10

Federal workers line up at food banks ahead of first missed check since shutdown
02:23

Tesla issues recall over bright parking lights on U.S. Cybertrucks
03:04
NBC News NOW
Now Playing

‘Little that can stop a Category 5:’ Jamaican officials warn to seek shelter
01:06
UP NEXT

American stranded in Jamaica describes ‘nerve-wracking’ situation awaiting Hurricane Melissa
02:46

Trump could send ‘more than the National Guard’ to U.S. cities
02:40

Trump promises pay raise to U.S. service members
01:05

Trump ally Milei wins big in Argentina’s midterm election
02:27

Park rangers cracking down on illegal BASE jumping at Yosemite amid government shutdown
02:39





















